Skip to main content
Skip to footer
Home
Real Estate
Available Space
In the Works
Tenant Resources
Careers
Home
Real Estate
Available Space
In the Works
Tenant Resources
Careers
Contact Us
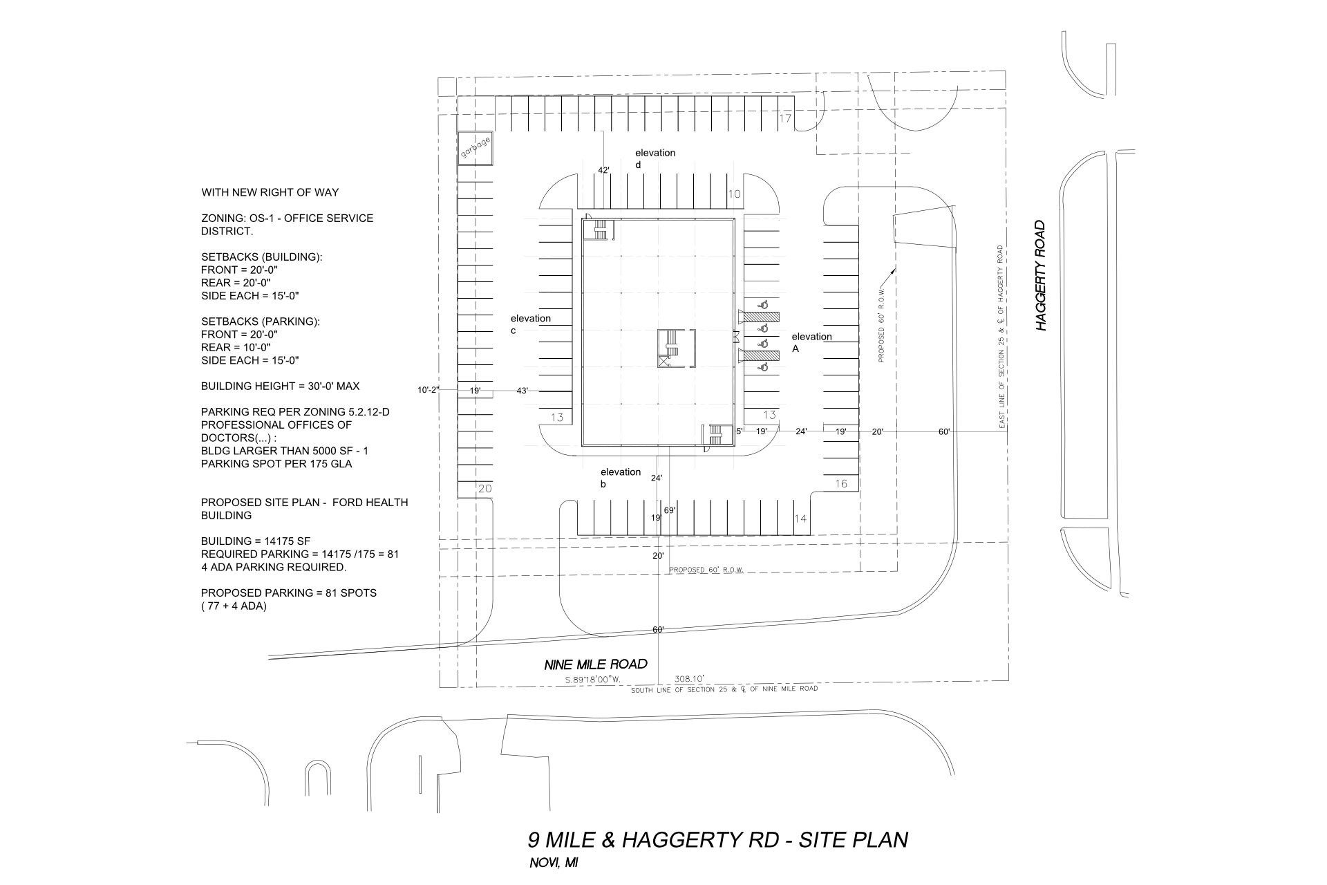
9 Mile & Haggerty Rd